mh. 22 000,00 €
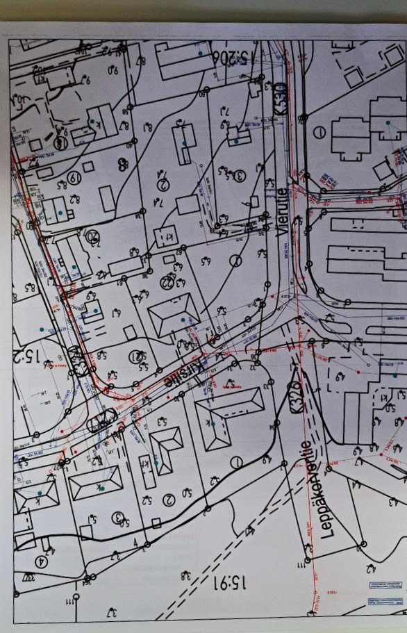
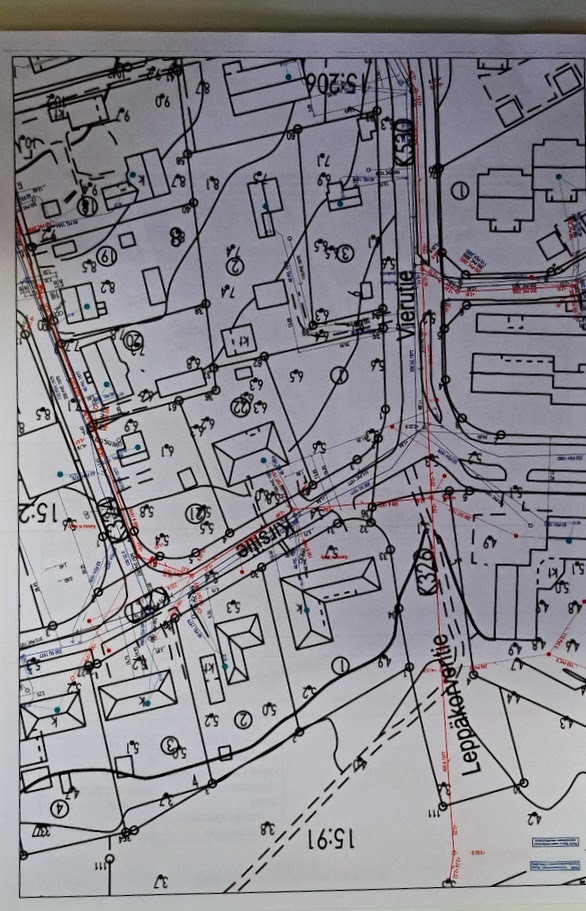
Hyvällä alueella tontti, missä on tällä hetkellä puita, mutta ne tulee kaupan mukana.
Kotikonsultit, haluaisitko tietää asuntosi hinnan, olemme tehneet viime vuosina hyvin kauppoja ja kokemusta on, nyt kohteemme on vähissä. p 040 5965357.
| Etuoven tunniste | 21227964 |
|---|---|
| Sijainti | Pori, Tuorsniemi |
| Hinta | 22 000,00 € |
Airi Leppänen
LKV, yrittäjä
040 596 5357
airi.leppanen@kotikonsultit.fi
Kohteen perustiedot
| Sijainti | Pori, Tuorsniemi |
|---|---|
| Maa | Suomi |
| Tyyppi | Omakotitalotontti |
| Kiinteistö | omakotitalotontti |
| Huoneiden lukumäärä | ei luokiteltu |
Kohteen kuvaus
| Kiinteistötunnus | 609-28-8-1 |
|---|---|
| Energiatodistus | Ei lain edellyttämää energiatodistusta |
Tontti ja kaavoitus
| Tontin omistus | oma |
|---|---|
| Tontin pinta-ala | 861,0 m² |
| Kaavoitustilanne | Asemakaava |